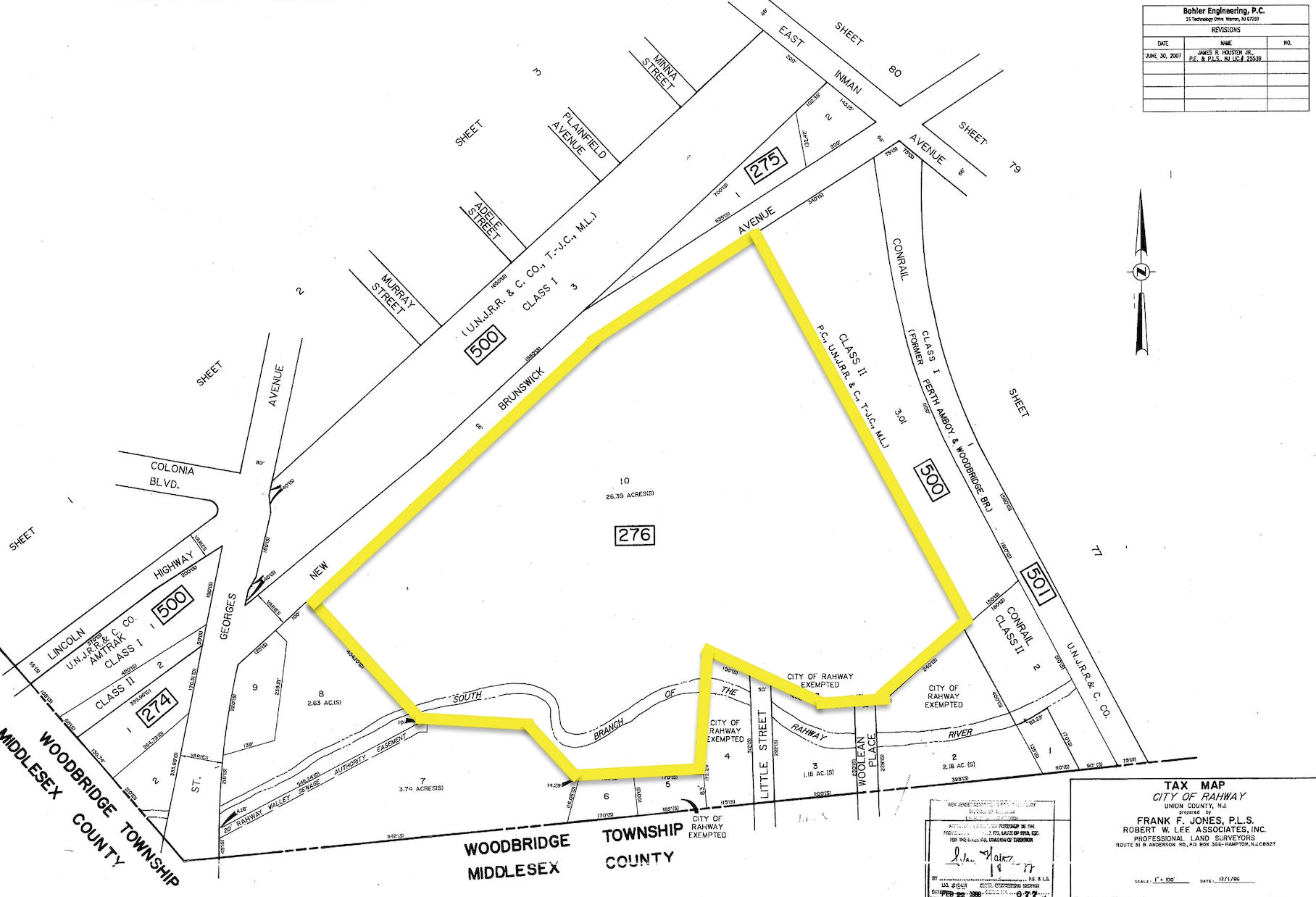
A redevelopment plan that envisions modernizing a warehouse on New Brunswick Avenue took another step forward.
Become a Patron!
If you find this post valuable, consider making a contribution via PayPal or Buy Me a Coffee – or support local news you don’t get anywhere else all year round by becoming a monthly Patron.
At its Nov. 28 regular meeting, the Planning Board adopted a resolution after reviewing the 329 New Brunswick Avenue Redevelopment Plan , finding it consistent with the city’s master plan,

.In October, the Planning Board recommended to City Council that 329 New Brunswick Ave. be declared an area in need of redevelopment, and the governing body designated the property as a redevelopment area. At its Dec. 11 regular meeting, City Council gave final approval on an ordinance (O-52-23) adopting the redevelopment plan.
“The intent with this plan is to demolish the existing building and to develop a more modern warehousing, industrial type building,” Planner Susan Gruel told the Planning Board. Based on requirements of the redevelopment statute, Gruel said the intent is to create a new zone, superseding existing zoning, which is heavy industrial that will no longer be permitted in the new zone.
“There are a number of design standards we’ve included within the plan so that it’d be an aesthetically pleasing, modern design as well,” Gruel said.
Planning Board member Alexander Shipley suggested it’s a good location for a supermarket. “The last 30, 40 years, it’s been the hope that a supermarket would go there,” he said.
“All I can say is there are no planning documents in the city that have identified that as a use for that site,” Gruel said, noting that indoor crop production is included among the principal permitted uses but the redevelopment plan does not include any retail uses.
Under the redevelopment plan, principal permitted uses include:
- General and business offices
- Research laboratories
- Pilot manufacturing plans
- Light manufacturing uses
- Warehousing and distribution
- Wholesale trade
- Indoor crop production
- Storage facilities, except non-containerized combustable materials and outdoor storage
Conditional uses include all six cannabis-oriented uses allowed in the city: cultivation, manufacturing, wholesaling, distribution, retailer, and delivery.
Under non-condemnation redevelopment, either the property owner comes forth with a plan or sells to someone with a plan or ground lease it, Board Attorney Karl Kemm explained. “It relies upon the property owner and the market to effectuate the actual redevelopment of the property. I guess the city didn’t feel a need to exert eminent domain to effectuate the redevelopment plan,” he said. “We have seen both, condemnation and non-condemnation, redevelopment” in the city’s various redevelopment areas.
Anecdotally, the property has an owner who has not objected to the designation of the area or the plan, Kemm said. “Often, if a property owner is unhappy with things, you hear about it, and we haven’t.”
Editor’s note: This post was derived from an audio recording of the Nov. 28 Planning Board meeting.
Become a Patron!
If you find this post valuable, consider making a contribution via PayPal or Buy Me a Coffee – or support local news you don’t get anywhere else all year round by becoming a monthly Patron.
