Four lots around Monroe and Essex streets would be developed as a 69-unit apartment complex along the Rahway River under a concept plan presented last week to the Redevelopment Agency.
Become a Patron!
If you find this post valuable, consider making a contribution via PayPal or Buy Me a Coffee – or support local news you don’t get anywhere else all year round by becoming a monthly Patron.

The Redevelopment Agency approved a resolution designating Livingston-based Flag Management as conditional redeveloper after a presentation during its meeting on Wednesday night.
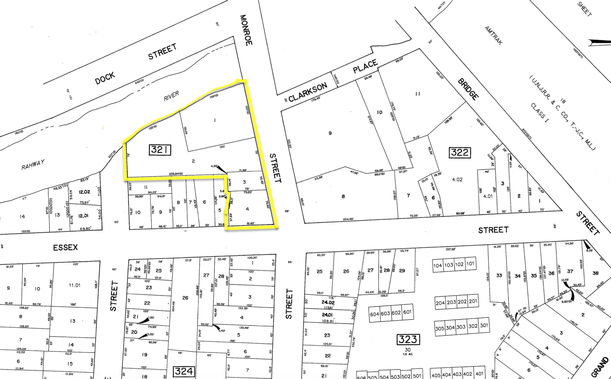
The project would encompass four lots along Block 321 (see tax map below) that currently include a Norwood Auto Parts store, a two-family home, and a surface parking lot used in part by Luciano’s Ristorante:
- Lot 1, 107 Monroe St. (surface parking)
- Lot 2, 111-113 Monroe St. (two-family home)
- Lot 3, Monroe Street.
- Lot 4, 125 Monroe St. (Norwood Auto Parts)

The site is directly across Monroe Street from where demolition is under way a 141-unit first phase of a Vermella development. In 2010, there was a fleeting effort to possibly secure state funds to create a park at the former Norwood Auto Parts property at 125 Monroe St. More recently, a concept plan by Flag Management in 2017 proposed 40 units in a five-story building that solely incorporated 111-113 Monroe St.

Joel Schwartz of Landmark Companies, who was involved in the development of Park Square and an earlier concept across the street from this proposal, opened the presentation to commissioners. “We’ve been working on this five years, it’s taken awhile to get to the point which we have it tonight,” he said, going through several incarnations, working closely with Redevelopment Agency staff to “get it to the form that they felt they could support.”
When this project started, it was much smaller, Schwartz said, and the mayor and redevelopment director suggested it was in the interest of the city to acquire more land. “We’ve done that,” he said, so when the time comes to “put your thoughts on paper,” the DEP likes to know the municipality is supportive. The concept conforms to current zoning in the CBD-3 subdistrict of the Central Business District Redevelopment Area, which allows for up to 50 residential units per acre and up to four stories/50 feet.
The city felt very strongly that entire block had to be redeveloped, Redevelopment Director Landolfi said, including the parking lot currently used by Luciano’s, which is not that big and not properly utilized and striped. “That entire frontage needed to be taken care of,” he said. Lots 1-4 combine for about 325 feet of frontage along Monroe Street, from Essex Street to the bridge over the river.
“We think this is a great opportunity to grow the center of the city and capture the same kind of energy that’s happened in the main area of downtown,” Schwartz said.
At a Glance
Name: The Monroe
Developer: Flag Management
Units: 69 [23 per floor]
[39 1-BR 12 1-BR + den, 15 2-BR]
Parking: 98 [60 garage spaces; 49 surface spaces (26 for Luciano’s); 15 on-street (11 on Monroe, 4 on Essex)]
There are 98 total parking spaces proposed, meeting the city’s requirement of 69. Sixty would be in the ground-floor garage and another 49 surface spaces — 26 of which would be allocated for Luciano’s — in addition to 15 on-street spaces for a total 98.

Twenty-six of the 49 surface spaces would be allocated for Luciano’s Ristorante as part of an agreement in perpetuity. When it opened in 2008, the Main Street restaurant leased parking spaces across the street in what was Lot B. When the lot was developed as part of The Mint, Luciano’s secured parking spaces at the 107 Monroe St. lot.
Most of the proposed development would be located within a flood zone. “Because of the realities of flooding and the proximity to the river, we’re in a situation where parking is elevated in the building,” Larry Appel of Florham Park-based Appel Design Group Architects told commissioners. The parking entrance on Monroe ramps up as quickly as practical to get above Department of Environmental Protection (DEP) flood elevations. “We slope up the parking area so where you enter on grade, you’re in a flood area, but as you get higher, all the spaces would be flood protected,” Appel said.
The lower level of the lobby, at Monroe and Essex, was described as “wet flood proof,” and a raise lobby area would be “dry flood proof area,” with an upper lobby above the flood area. A public walkway along the river would be created as required by the state’s waterfront development regulations. Lots 1 and 2 combine for about 285 feet of frontage, from Essex Street to the end of Lafayette Street.
Commissioner John Samsel asked whether the building would charge tenants for parking, which has become an issue in other developments over the years. “We design a lot of apartments and we’re finding almost the opposite consideration: More people wanting to pay a fee to have secured garage space as opposed to surface or on-street parking, but it’s specific to certain areas, I suppose,” Appel replied.
Asked via email after the meeting whether for-sale condominiums were ever considered during deliberations on the development, Landolfi said: “It’s a subject we bring up with developers but at this point in time we are being told that it is virtually impossible to finance.”
Likewise, Schwartz said “the economics do not favor for-sale condominiums.”
Become a Patron!
If you find this post valuable, consider making a contribution via PayPal or Buy Me a Coffee – or support local news you don’t get anywhere else all year round by becoming a monthly Patron.

One thought on “Revised concept across river expands to 69 units”