The former St. Mark’s Church property on Hamilton Street and five adjacent lots will be studied again for redevelopment.
Become a Patron!
If you find this post valuable, consider making a contribution via PayPal or Buy Me a Coffee – or support local news you don’t get anywhere else all year round by becoming a monthly Patron.
.City Council during its meeting on June 10 awarded a $25,000 contract (AR-154-24) to Heyer, Gruel & Associates for “professional planning services to undertake a redevelopment investigation of properties,” including the former St. Mark’s Church and five adjacent properties. The governing body also directed the Planning Board (AR-136-24) to “undertake a preliminary investigation to determine if the properties qualify for redevelopment.”
It’s the second time in five years that the same six properties will be investigated to determine if they qualify for redevelopment. In early 2019, City Council directed the Planning Board to study the properties. Later that summer, the Planning Board determined that they qualified for redevelopment and the governing body concurred shortly thereafter. That report was completed by another firm, Hoboken-based Phillips Preiss Grygiel Leheny Hughes, LLC.
At the time of the first study, the city did not properly notice homeowners, Rachel Smith, communications coordinator for the city, said via email. The newly proposed plans may involve eminent domain, so the city has initiated a study that will ensure proper notice is given to impacted residents, she said. There are some judges who do not accept serving notice after the fact as resolving the issue, Smith said, and the intention is to avoid delays that may result if a study is reordered later.
The redevelopment site is part of the Arts District Redevelopment Plan approved in 2019 that included a 60-unit concept by AST Development, with 16 townhouses along Gordon Place and Hamilton Street and a four-story, 44-unit building on Seminary Avenue.
Since then, the St. Mark’s property has been acquired by Capodagli Property Company, however, city officials have not been happy with concepts presented for the site because of density or parking though no specific details of any concepts have been made public. The Linden-based developer is behind four Meridia projects in Rahway over the years, including the Brownstones, now in its second phase along Elizabeth Avenue.
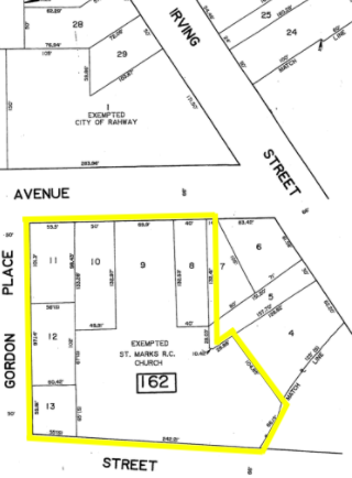
The six properties to be examined are:
- 288 Seminary Ave., Block 162, Lot 8
- 277 Hamilton St., Block 162, Lot 9
- 308 Seminary Ave., Block 162, Lot 10
- 322 Seminary Ave., Block 162, Lot 11
- 1613-17 Gordon Place, Block 162, Lot 12
- 309 Hamilton St., Block 162, Lot 13
Become a Patron!
If you find this post valuable, consider making a contribution via PayPal or Buy Me a Coffee – or support local news you don’t get anywhere else all year round by becoming a monthly Patron.
