The city will auction off a narrow, unused parcel of land along Lawrence Street.
Become a Patron!
If you find this post valuable, consider making a contribution via PayPal or Buy Me a Coffee – or support local news you don’t get anywhere else all year round by becoming a monthly Patron.
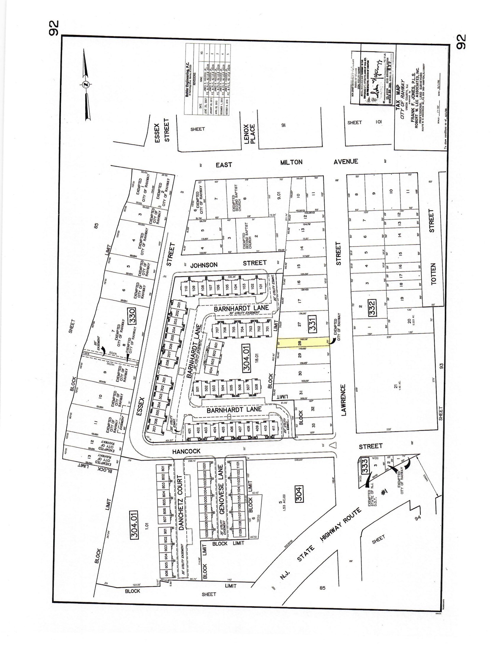
City Council approved an ordinance (O-6-24) at its meeting on Monday night, following a public hearing and introduction of the legislation at its February meeting, to sell Block 331, Lot 28. It’s located about midway on the block between Hancock Street and East Milton Avenue and backs up to the 86-unit Riverwalk development.
The city does not have a use or need for the property, which is a right-of-way between properties, according to William George, public relations coordinator for the city, and it’s being sold to free up resources currently used to maintain.
Block 331, Lot 28 is located within the R-2 zone but is less than the minimum size required for development. The vacant lot is a narrow strip measuring 25 x 150 and assessed for $18,700, according to property records, which also indicate that about 36 percent of it is located within a floodplain. The fair market value of the property has been appraised by McNerney & Associates as $18,500, which will be the minimum bid at auction.
Under state law, the city may sell property not needed for public use, selling to the highest bidder from among owners of contiguous properties so long as the property is less than than the minimum size required for development.
The three contiguous properties are Block 304.01, Lot 18.01; Block 331, Lot 27 (1466 Lawrence St.), and Block 331, Lot 29 (1456-58 Lawrence St.). As a condition of the sale, the property will be merged with the contiguous property and be deed restricted from further subdivision, according to the ordinance.
Within five days of adoption of the ordinance (which would be Monday if only counting business days), notice of the property authorized for sale will be delivered to the contiguous property owners, posted in City Hall, and advertised in a newspaper circulated within the city, according to the ordinance. Offers can be submitted to the city clerk and be made no later than 25 days after the adoption of the ordinance, which would be no later than early April (about April 6 if counting every day, about April 17 if it’s only business days are count).
Become a Patron!
If you find this post valuable, consider making a contribution via PayPal or Buy Me a Coffee – or support local news you don’t get anywhere else all year round by becoming a monthly Patron.

One thought on “City to auction Lawrence Street parcel”