A St. Georges Avenue building with three retail tenants recently changed hands.
Become a Patron!
If you find this post valuable, consider making a contribution via PayPal or Buy Me a Coffee – or support local news you don’t get anywhere else all year round by becoming a monthly Patron.
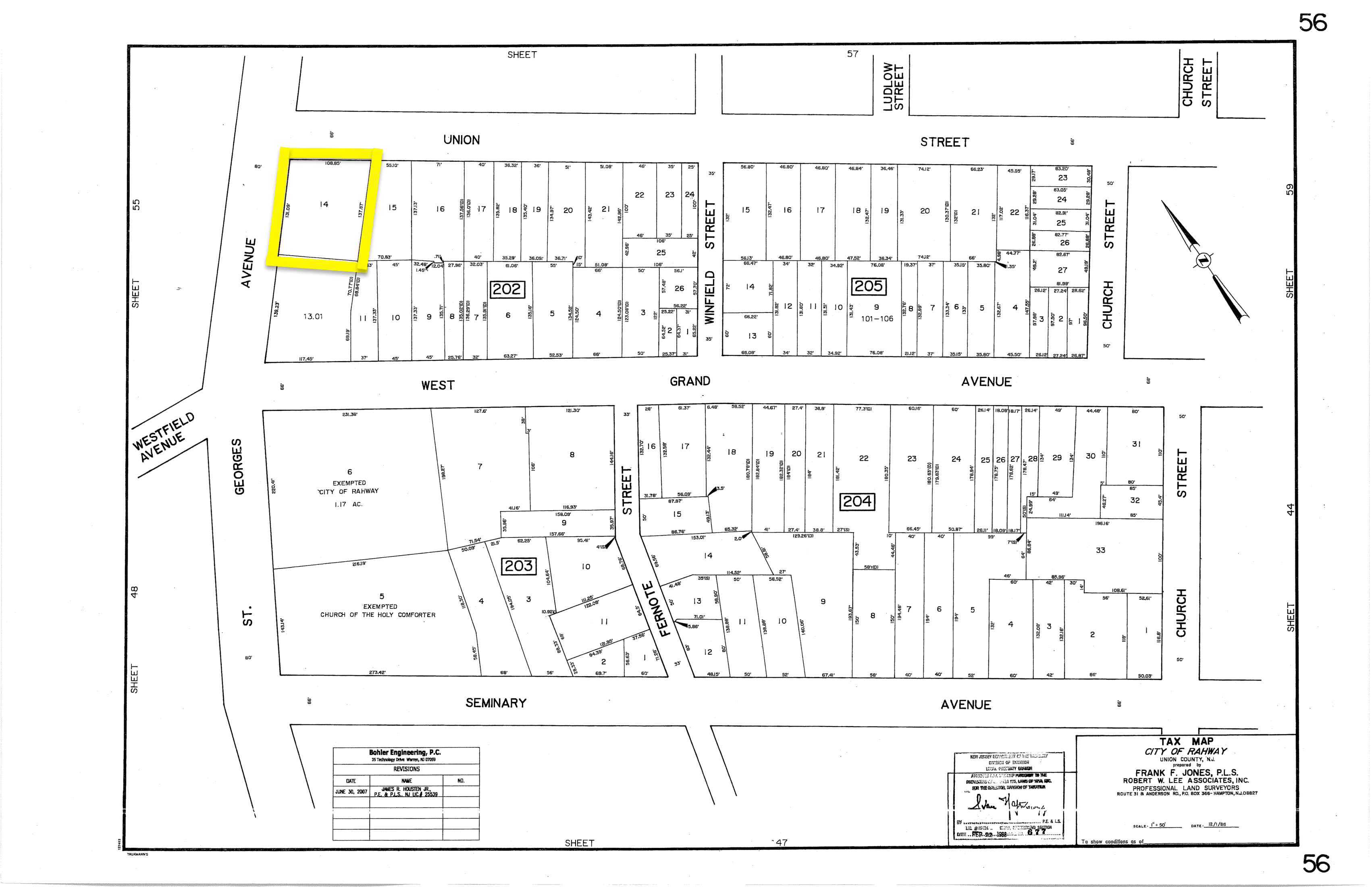
The Woodbridge-based Kislak Company announced the sale of the 6,400-square-foot retail property at 1683-1687 St. Georges Ave. for $765,000. Located between West Grand Avenue and Union Street, the building is home to three retail tenants: West Hudson Industries, Cooks Kitchn, and Subworks.
The property consists of a one-story retail building constructed in 1950 on a 14,800-square-foot lot of about a quarter-acre with about 97 feet of frontage along St. Georges Avenue. The building has a newer roof and HVAC system, on-site parking for nine cars, and is fully occupied, according to a press release announcing the sale last month.
“The long-term owner contacted us since he was ready to retire and wanted a professional marketing and sale process with fast results,” Kislak Senior Vice President Daniel Lanni said in a press release. “We immediately generated multiple offers and closed in 30 days with an all-cash investor,” he said. Lanni handled the assignment on behalf of the seller, LMN Financial Group, LLC. He also procured the purchaser, a private investor that was not disclosed, according to the release.

The property, listed as Block 202, Lot 14 on the Rahway tax map, is assessed for a total of $363,000 — $169,000 on the land and $196,000 on the improvements — generating a property tax bill of about $25,958. It’s unclear when the recent sale closed. The property last changed hands in July 2012 for $650,000, according to a deed filed with the Union County Clerk, but a more recent deed was not found in its records.
Become a Patron!
If you find this post valuable, consider making a contribution via PayPal or Buy Me a Coffee – or support local news you don’t get anywhere else all year round by becoming a monthly Patron.
