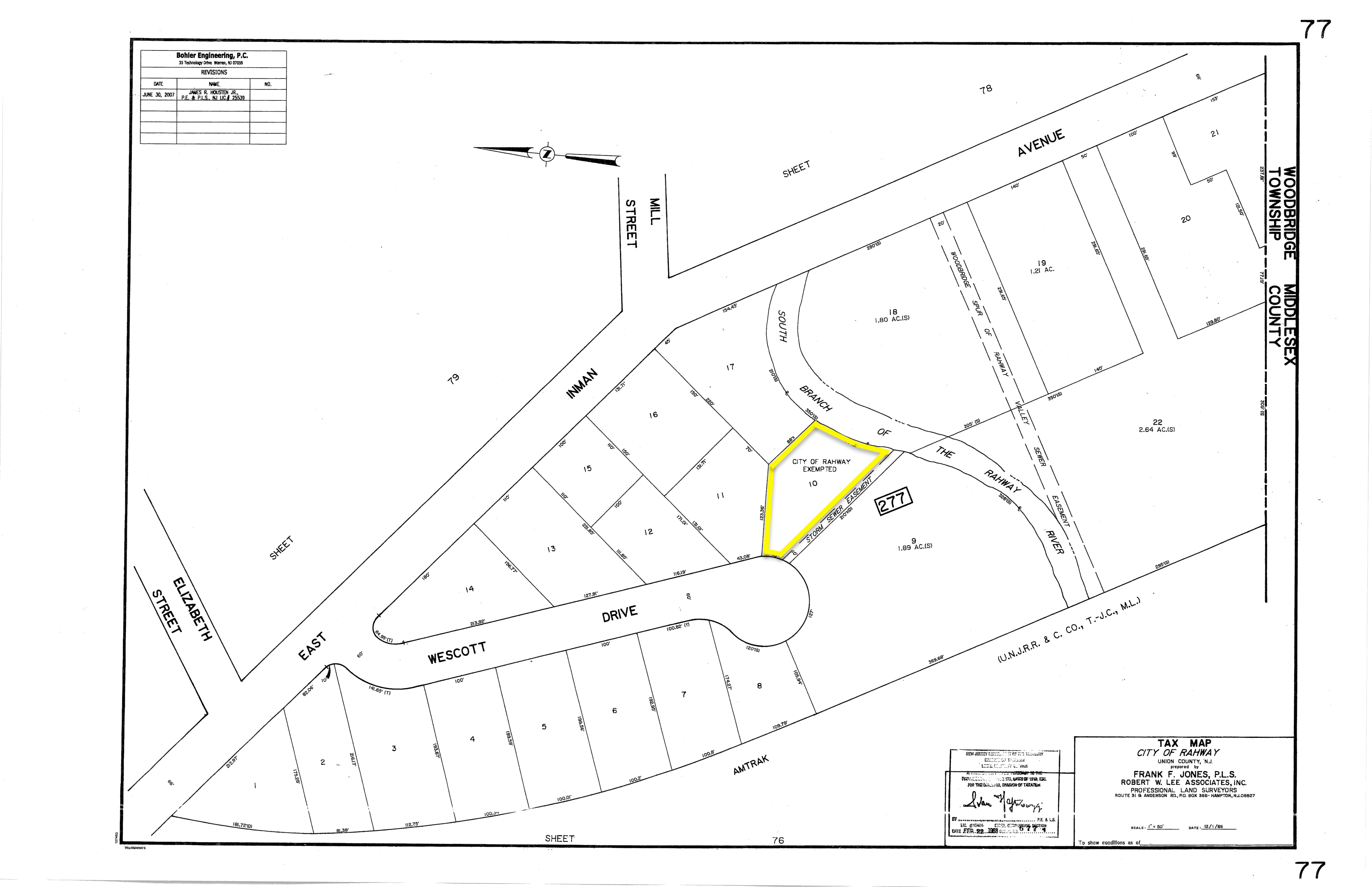
A city-owned lot on Wescott Drive will be studied to determine if it qualifies for redevelopment.
Become a Patron!
If you find this post valuable, consider making a contribution via PayPal or Buy Me a Coffee – or support local news you don’t get anywhere else all year round by becoming a monthly Patron.
.City Council passed a resolution (AR-256-24) directing the Planning Board to investigate whether a Wescott Drive parcel (Block 277, Lot 10) should be designated as an area in need of redevelopment pursuant to the state Local Redevelopment and Housing Law.
The city-owned lot is assessed for $129,300.
The state’s Local Redevelopment and Housing Law (N.J.S.A. 40:12A-1) allows towns to determine whether certain parcels of land constitute areas in “need of redevelopment.”
In recent years, City Council has directed redevelopment studies of several industrial properties in the southern end of the city.
The governing body directed the Planning Board to investigate five Leesville Avenue area properties located across the river from Wescott Drive to determine if they qualify as a condemnation area in need of redevelopment. Another study authorized by City Council resulted in the redevelopment designation in April of two properties: 767 Leesville Ave. (Block 279, Lot 10) and 211 E. Inman Ave. (Block 277, Lot 21)
The city also began foreclosure proceedings on 767 Leesville Ave. and has regularly levied liens against the property to recoup cleanup costs.
The East Inman Avenue lot is partially in Woodbridge and Rahway where a building had been demolished several years ago. The site has been used as a junk yard, with vehicles discharging contaminants, according to the redevelopment study. It’s pre-existing non-confirming use which wouldn’t be allowed to open today. It’s next to another site that’s in a redevelopment area.
Become a Patron!
If you find this post valuable, consider making a contribution via PayPal or Buy Me a Coffee – or support local news you don’t get anywhere else all year round by becoming a monthly Patron.
